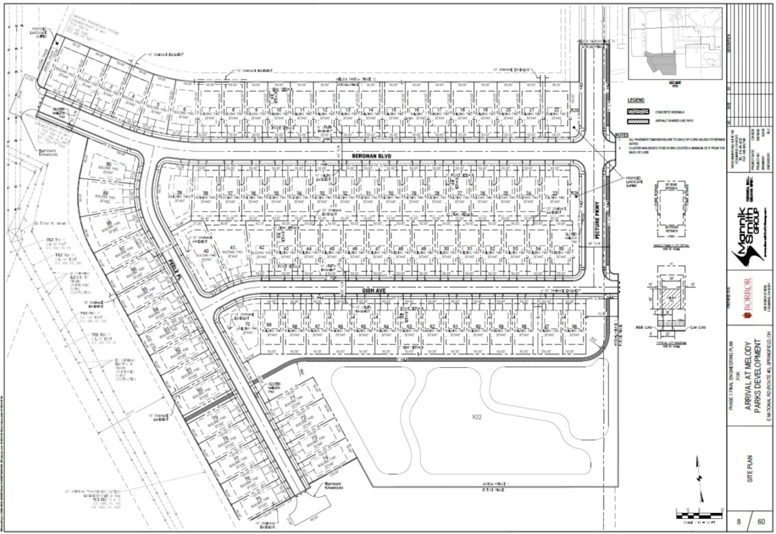
The $400 million project is being developed by Forty Partners LLC, a partnership between developers Borror and Dillin Corp., with homes being built by Arbor Homes and Fischer Homes.
Conner Westerheidi, a representative of the developer Forty Partners, said they are “creating lots to transfer to the builder and lot user.”
“This isn’t adding more density. It’s more of a confirmation of things that were already approved,” he said. “What we’re coming in with today is nothing new than what you guys have seen previously and what has been approved previously, is in your confirmation of creating those lots in a mass lot split.”
Kaileigh Pickett, vice president of development and design for Borror, said the process now is about setting individual plats aligned with the project plans.
The city of Springfield entered into an Infrastructure Agreement to allow an assessment to be charged on each home in lieu of the property tax payments on improvements. These assessments will assist in funding the public utilities, roadways and green spaces required to deliver a project of this magnitude and quality.
The city approved tax abatements for the next 30 years for Melody Parks by designating it part of the city’s Community Reinvestment Area and by offering a 15-year Tax Incremental Financing (TIF) tax abatement for single-family property owners. Residents technically will not pay taxes for that time period but instead will pay an assessment equal to or greater than what they would have paid in property taxes.
Brian Kuhn, superintendent of Clark-Shawnee Local Schools, spoke during the hearing about the board’s duties, based on the Ohio Revised Code, including their responsibility to consider public services and the economic impact to educational institutions.
He raised concerns related to Springfield police and fire “giving the proverbial thumbs up,” indicating they can provide services for the housing units.
“I believe that a critical piece of information that needs to be considered is whether or not the police and fire divisions are at the minimum staffing levels as outlined by the city of Springfield charter,” he said, saying that only about a year-and-a-half ago, at the end of 2024, officials said they had insufficient resources to serve the population living in the city.
Kuhn also raised concerns about the board not coordinating research on the social and economic data associated with educational institutions.
“What I’m here to convey is that public schools are facing unparalleled funding challenges across the state of Ohio,” he said, explaining they will not be receiving additional funding from the state and have been unsuccessful twice in passing an earned income tax levy, while the general assembly continues putting restrictions on the types of levies schools can use.
“If we are not receiving more funding from the state, we cannot generate new revenue locally, and if we continue to not receive our share of property taxes of new developments, we will be put in a position to make significant cuts in order to self-stabilize our financial future.”
As for any concerns related to this approval or the project, Westerheidi explained developers have worked with technical experts in their fields to ensure any comments or concerns were addressed beforehand, but “they’ve all signed off saying that they feel comfortable being able to meet these needs.”
He said while there are still other things to “iron out” as this process continues, the development continues to progress.
“I think there’s good information that is being shared and things that we do need to think through and for the success of this development, we want a lot of the mutual same things. We want this to go well. We want adequate support and all those things,” he said.
About the Author



